Russian Frisco - Русский Сан Франциско
Руссике артисты на Американской сцене
. Russian America Top
Russian Frisco News. Новости на Русском Сан ФранцискоNews Russian Frisco - Events. События и Афиша на Русском Сан ФранцискоEvents Russian Frisco Yellow Pages. Жёлтые страницы Русского Сан ФранцискоYellow Pages Russian Frisco Classfieds. Объявления на Русском Сан ФранцискоClassifieds Russian Frisco Dating. Знакомства на Русском Сан ФранцискоDating Russian Frisco Forum. Дискуссионный клуб Русского Сан ФранцискоForum Russian Frisco Chat. Чат на Русском Сан ФранцискоChat
 News Central
В мире
  Политика
  Разное
Бизнес
  Деньги
Общество
  Мода
  Религия
  Светская жизнь
  Шоу Бизнес
  Пикантные новости
  Животные
  Криминал
Спорт
Искусство
  Кино
  Музыка
Авто
Hi-Tech
  Интернет
  Hardware
  SoftNews
Здоровье
Путешествия
Вокруг света
USA
Россия
  
Ресурсы
  Самые последние
  Самые читаемые
Архив
 Другие ресурсы
Все Ресурсы

Рассылки
Газеты
Журналы
ТВ - Online
Радио

Юмор
  Анекдоты
  Игры
  Этикетки
  
Открытки
  Поздравь друга
  
Программа TV
Кино
  Новости кино
  Кинообзоры
  
Музыка
  Радио в internet
  Russian Top
  
Спорт
Web Обзоры Exler.ru
  
Читальный зал
ЭКСпромт - статьи для чайников
Компьютерные игры
Finance News
Автообзоры
Russian America Journal Digest
 Смотрите также
Yellow Pages
Объявления
Чат
Форум
  последнее

Читальный зал
  Стихи
  Проза
  Кулинария

Едем в Америку!
  Иммиграция
  Визы
  Советы

Знакомства
Фотоальбомы
Top Rating
  America TOP
  
 
NEWS CENTRAL >> Hi-Tech

Hi-Tech

Ученые заглянули в прошлое марсианских океанов
3:32PM Tuesday, Nov 18, 2008
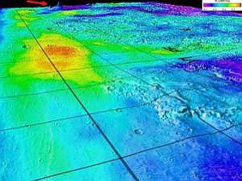
На трехмерную топографическую карту Марса нанесены результаты сканирования поверхности гамма-спектрометром. Темным показаны области с пониженным содержанием калия, а светлым - с повышенным. Изображение авторов исследования.

На трехмерную топографическую карту Марса нанесены результаты сканирования поверхности гамма-спектрометром. Темным показаны области с пониженным содержанием калия, а светлым - с повышенным. Изображение авторов исследования.
Ученые получили новые доказательства существования океанов на Марсе в далеком прошлом, сообщает New Scientist. Это открытие стало возможным благодаря данным, собранным космическим аппаратом Mars Odyssey.

До настоящего момента основным подтверждением существования океанов служили геологические образования, напоминающие береговую линию, которые отделяют крупные равнины в северной части Марса от боле неровного и возвышенного окружения. Всего на Марсе обнаружено две группы таких "берегов". Из этого ученые заключили, что в прошлом на Красной планете существовало два крупных океана: площадь одного превышала площадь Средиземного моря в 20 раз, а площадь второго - в 10 раз. У многих специалистов, однако, сохранялись сомнения.

В своем исследовании ученые построили карту распределения железа, калия и тория в северном полушарии Марса. Это было сделано при помощи гамма-спектрометра, установленного на борту Mars Odyssey. Устройство регистрирует гамма-излучение, испускаемое поверхностью Красной планеты под воздействием космических лучей - потоков заряженных частиц. Анализ излучения и позволяет установить концентрацию тех или иных элементов в грунте на глубине до 30 сантиметров.

Совместив карту распределения элементов с геологической картой, ученые обнаружили, что концентрация железа, калия и тория выше на предполагаемом дне древнего океана. По мнению исследователей, это объясняется тем, что данные элементы вымывались из почвы водой и скапливались донных отложениях.

Ученые считают, что океаны были относительно короткоживущими образованиями на марсианской поверхности: они возникали в периоды повышенной вулканической активности. В это время температура на планете поднималась и лед таял, превращаясь в воду. Океаны жили от нескольких сотен до нескольких тысяч лет.

По материалам lenta.ru
Смотрите также: Hi-Tech, Интернет, Hardware, SoftNews
 
Читайте также:

На МКС нашли "потерявшегося" паука

Череп древнего шерстистого носорога собрали из 53 фрагментов

Большинство техасских ученых поддержали теорию эволюции

Капли заставили левитировать с помощью iPod

Американские астронавты вышли в открытый космос на МКС

Американская астронавтка потеряла в открытом космосе сумку


Ученые научились получать большое количество антивещества

Семейные ценности существовали уже 4600 лет назад

Ученые нашли новый способ ориентироваться в интернете

Пользователям интернета предложили стать "охотниками за патентами"

Япония тайно начала сезон охоты на китов

Ремонт Большого адронного коллайдера обойдется в 21 миллион долларов

Марсоход Spitit заснет на две недели

Лягушки учатся узнавать хищников еще на стадии икры

Руководитель NASA не надеется сохранить пост при Обаме

Китайцы создали звуковые колонки из углеродных нанотрубок

Верующие оказались внимательнее атеистов

Минеральная "эволюция" поможет в поиске внеземной жизни

В 2010 году американская компания откроет на Луне кладбище

Шаттл "Индевор" пристыковался к МКС

Во время старта от "Индевора" оторвался кусок термоизоляции



Рассылки:
  Новости-почтой
  TV-Программа
  Гороскопы
  Job Offers
  Концерты
  Coupons
  Discounts
  Иммиграция
  Business News
  Анекдоты
Многое другое...

News Central Home | News Central Resources | Portal News Resources | Help | Login
 
Russian Boston Russian LA Holostyak.com Рейтинг@Mail.ru © 2025 RussianAMERICA Holding
All Rights Reserved • Contact