Russian Frisco - Русский Сан Франциско
Найди свое счастье, служба знакомств на RussianAmerica.COMРусские концерты на Американской сцене
. Russian America Top
Russian Frisco News. Новости на Русском Сан ФранцискоNews Russian Frisco - Events. События и Афиша на Русском Сан ФранцискоEvents Russian Frisco Yellow Pages. Жёлтые страницы Русского Сан ФранцискоYellow Pages Russian Frisco Classfieds. Объявления на Русском Сан ФранцискоClassifieds Russian Frisco Dating. Знакомства на Русском Сан ФранцискоDating Russian Frisco Forum. Дискуссионный клуб Русского Сан ФранцискоForum Russian Frisco Chat. Чат на Русском Сан ФранцискоChat
 News Central
В мире
  Политика
  Разное
Бизнес
  Деньги
Общество
  Мода
  Религия
  Светская жизнь
  Шоу Бизнес
  Пикантные новости
  Животные
  Криминал
Спорт
Искусство
  Кино
  Музыка
Авто
Hi-Tech
  Интернет
  Hardware
  SoftNews
Здоровье
Путешествия
Вокруг света
USA
Россия
  
Ресурсы
  Самые последние
  Самые читаемые
Архив
 Другие ресурсы
Все Ресурсы

Рассылки
Газеты
Журналы
ТВ - Online
Радио

Юмор
  Анекдоты
  Игры
  Этикетки
  
Открытки
  Поздравь друга
  
Программа TV
Кино
  Новости кино
  Кинообзоры
  
Музыка
  Радио в internet
  Russian Top
  
Спорт
Web Обзоры Exler.ru
  
Читальный зал
ЭКСпромт - статьи для чайников
Компьютерные игры
Finance News
Автообзоры
Russian America Journal Digest
 Смотрите также
Yellow Pages
Объявления
Чат
Форум
  последнее

Читальный зал
  Стихи
  Проза
  Кулинария

Едем в Америку!
  Иммиграция
  Визы
  Советы

Знакомства
Фотоальбомы
Top Rating
  America TOP
  
Последние новости со всего мира.
 
NEWS CENTRAL >> Hi-Tech

Hi-Tech

Ученые создали симулятор цунами для предсказания их последствий
5:54PM Tuesday, Jul 15, 2008
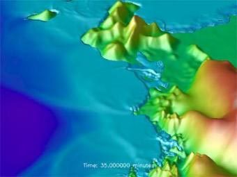
Визуальное представление симуляции последствий цунами, произошедшего 26 декабря 2004 года в районе Banda Aceh. Видно, как волна накрыла обширную часть побережья. Фото с сайта awi.de

Визуальное представление симуляции последствий цунами, произошедшего 26 декабря 2004 года в районе Banda Aceh. Видно, как волна накрыла обширную часть побережья. Фото с сайта awi.de
Международная группа исследователей из Института Альфреда Вегенера (Alfred Wegener Institute for Polar and Marine Research), лидера в области моделирования последствий катастроф, создала новый компьютерный симулятор цунами для Германо-индонезийской системы раннего предупреждения о цунами (GITEWS). В настоящий момент он интегрируется в Систему поддержки принятия решений (Decision Support System) Немецкого аэрокосмического центра, а начиная с ноября 2008 года будут вновь возобновлены его полевые испытания в Индонезии. Основные результаты работы группы опубликованы в пресс-релизе на сайте института.

В отличие от более ранних версий, новый симулятор цунами учитывает данные не только сейсмографов, но и множества других измерительных приборов. По словам разработчиков, это позволяет получить надежный, точный и очень быстрый анализ ситуации и спрогнозировать несколько вариантов ее будущего развития.

Так, например, для моделирования цунами возникшего из-за подводного землетрясения, симулятор будет одновременно учитывать данные о распространении сейсмических волн, высоте морских волн в разных участках от эпицентра землетрясения, изменениях давления воды на морское дно и положении GPS-буйков. Вся информация оперативно поступает со спутников в Систему поддержки принятия решения, где с помощью симулятора создается обобщенная картина происходящего. На ее основе местные власти могут заранее принять решение об эвакуации жителей прибрежных районов.

Новый симулятор представляет собой не только математическую модель для обработки информации. В его состав в настоящий момент входит библиотека из 1500 возможных сценариев развития цунами, что позволяет сравнить вновь поступившие данные с уже готовым сценарием и сделать прогноз о последствиях за очень короткое время, не используя огромных вычислительных ресурсов. Сотрудники Института Вегенера совместно с партнерами из Индонезии планируют довести число сценариев в библиотеке до 160 тысяч. Такое огромное число обусловлено тем, что ученые хотят занести в базу данных не только общую схему развития цунами, но и геолого-географические особенности мест, где риск возникновения цунами наиболее высок.

Новый симулятор разработан на основе открытых стандартов, что позволяет интегрировать внутрь него сценарии и разработки других институтов, а также адаптировать симуляционные модели для иных участков мирового океана, например Средиземного моря.

Работа над новым симуляционным модулем во многом была инспирирована катастрофическими последствиями цунами 2004 года, когда не удалось избежать многочисленных человеческих жертв. Разработка ученых прошла первую практическую проверку, когда в сентябре 2007 года мощное землетрясение поблизости от западного берега Суматры вызвало цунами. Симулятор точно предсказал участок будущего затопления.

По материалам lenta.ru
Смотрите также: Hi-Tech, Интернет, Hardware, SoftNews
 
Читайте также:

Ученые научились находить скрытый смысл в картинках

Польша и Испания намерены запустить первые собственные спутники

Intel вложила миллионы долларов в расшифровку ДНК

Российские космонавты вышли в открытый космос во второй раз

Волков и Кононенко выполнили все задачи в открытом космосе

Найден кандидат на звание самой яркой звезды Галактики


Россияне уверены в пользе неизвестных им нанотехнологий

"Феникс" начал расширять "Белоснежку"

Инфекционный рак вызвал эволюцию тасманийских дьяволов

В 2009 году Россия удвоит финансирование космической программы

В центре Лондона обнаружен новый вид жуков

Рапануйское божество дало имя третьему плутоиду

Стабильные наночастицы оказались суператомами

Лесам Земли предсказали скорое уничтожение

Ученые описали белки митохондрий

Найдена зависимость между скоростью зрительного восприятия и положением рук

У млекопитающих нашли новый тип регуляции генов

Ученые создали молекулярную модель внутреннего уха

Ученые начали поиск пригодных для жизни Суперземель

В Великобритании редкий вид бабочек выжил после пожара

МНТЦ выделил России в 2007 году 113 миллионов долларов



Рассылки:
  Новости-почтой
  TV-Программа
  Гороскопы
  Job Offers
  Концерты
  Coupons
  Discounts
  Иммиграция
  Business News
  Анекдоты
Многое другое...

News Central Home | News Central Resources | Portal News Resources | Help | Login
 
Russian Boston Russian LA Holostyak.com Рейтинг@Mail.ru © 2025 RussianAMERICA Holding
All Rights Reserved • Contact